Agenda Highlights 8/5/25

hope design plans

At the Fort Smith Board of Directors meeting to be held 8-5-25, the Board will vote on zoning changes that would allow for Hope Campus at 301 South E Street to be able to do interior remodels by right and to do exterior changes as a conditional use with Planning Department approval. The interior remodels planned currently are for a dormitory room and the exterior changes planned currently are for adding a concrete pad and fencing.

Learn more at pages 3-39 of the agenda pdf
hope pavilion

The Board will vote on whether to donate the 65x25 ft metal frame pavilion owned by the City at Hope Park at 14 North H to Hope Campus so it could be relocated to the campus. The campus has requested the pavilion so that it could serve as shade in the heat and shelter in inclement weather for clients of the campus who are waiting for services provided inside the campus facility.

The Board will also vote on whether to waive the building permit and inspection fees related to the relocation of the pavilion. All of the other expenses related to the relocation would be the responsibility of Hope Campus.

Learn more at pages 40-45 of the agenda pdf
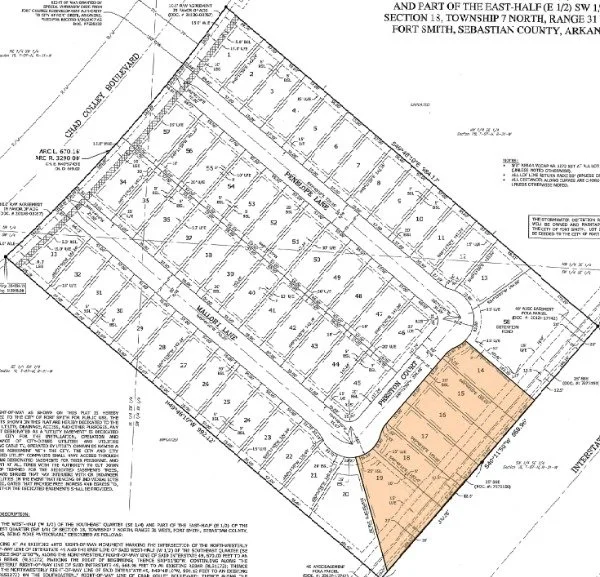
stone ridge lot map

The Board will vote on a zoning change for 10405-10427 Preston Court to allow for the undeveloped property to be developed in 6 duplexes at the Stone Ridge subdivision.

Learn more at pages 46-60 of the agenda pdf
4900 Spradling exterior

The Board will vote on a zoning change for 4900 Spradling that would allow for a vacant former church building to be used as an event center.

Learn more at pages 61-118 of the agenda pdf
parking meter

The Board will vote on whether to remove the parking meters downtown and cease collecting parking fees. In response to concerns voiced by County Judge Hotz, instead of the meters signage will be added to the area around the County Courthouse explaining that those spots are for County business only from 8AM-5PM Monday-Friday and limited to 30 minutes. The enforcement of those parking rules next to the Courthouse will be the responsibility of the County.

Learn more at pages 211-212 of the agenda pdf
stock image of padlock on computer keyboard

The Board will vote on whether to renew the contract with Heartland Business Systems for cybersecurity software and licenses for a total of $606,000 over 3 years ($180,000 the first year, $200,000 the second, and $226,000 the third).

Learn more at pages 213-214 of the agenda pdf
gavel stock image

The Board will vote on whether to approve an Agreed Order of Dismissal in the Marilyn Moore v. City of Fort Smith and Jeff Dingman case regarding FOIA violations. In the agreement, the City would agree that Acting City Administrator Dingman violated FOIA by saying that there were no records in response to Moore’s request for records related to Fort Smith supplying water to the proposed prison planned for Franklin County when records existed and that Dingman and the City failed to produce the records within the 3 day period required by FOIA. In the agreement, the City would agree to pay $1500 in Moore’s attorney’s fees and $271.40 in costs. The agreement would end the legal matter without it going to court.

Learn more at pages 217-221 of the agenda pdf
Contact Your Directors
Previous
Previous

Agenda Highlights 8/12/25

Next
Next

Agenda Highlights 7/29/25