Agenda Highlights 4/7/26

non ambulatory transportation vehicle

At the Fort Smith Board of Directors meeting to be held 4-7-26, the Board will vote on renewal of Non-Ambulatory Transportation Service’s franchise to provide transportation for the disabled and elderly. The franchise would be good for 5 years.

garrison avenue

The Board will vote on whether to allow the Central Business Improvement District (CBID) to reduce their number of members from 8 to 7 (also dropping the number required for a quorum from 5 to 4). When the CBID was originally established in 1976 it was made up of 5 members. It was later expanded to 7 members and in 2013 expanded to 8 members. The CBID would prefer to have 7 members as it is an odd number.

levitt amp series logo

The Board will vote on appropriating $20,000 to Main Street Fort Smith to go towards the local contribution required for the grant for the Levitt Amp series of free concerts at the Riverfront for the 2026 season.

The Board will vote on whether to appropriate $35,000 for improvements needed to improve digital accessibility to comply with ADA requirements including improved accessibility of the City websites, publicly available documents, City board meeting materials, and broadcasts. One improvement would be adding live captioning to the Board of Directors meeting video footage.

satellite map of former acme brick site

The Board will vote on an amendment to the existing contract with Halff Associates for design for the flood mitigation ponds at the former Acme Brick Property. The original idea for the site included 2 ponds, but recent soil tests revealed that the Quarry pond on the west side of the site would require extensive rock excavation. To reduce construction costs, it is suggested that a third pond be built further west to eliminate the need to excavate the Quarry pond deeper. Also, the amendment would include a design for a potential wet version of the Quarry Pond instead of the originally planned dry version. The wet version would be a lake-like water feature year round, unlike the dry version that would only have water in it periodically when heavy rains fill it. The amendment would also incorporate design work for consent decree sewer work related to the project. The amendment would cost an additional $464,860.

map of street overlays 4-7-26

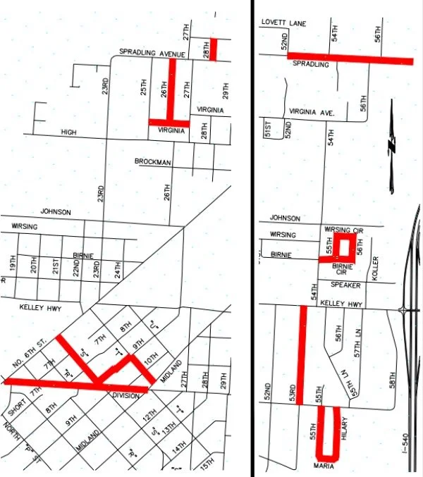
The Board will vote on contracting with Forsgren for $2,865,200.96 for 2.45 miles of street overlays and installation of 2000 feet of pipe.

burns mcdonnell logo

The Board will vote on whether to contract with Burns & McDonnell to borrow a project manager employee to serve as Interim Deputy Director of Engineering for Streets and Drainage for up to 3 months of full-time service plus 6 months on-call while recruiting is underway for a permanent Deputy Director. The cost would be up to $425,000. There is currently a serious lack of engineers on staff in the roadway section of the Engineering Department with a net loss of 9 experienced staff members between July 2025 and July 2026, 60% of the roadway section staff.

I-540 and Euper crossing

The Board will vote on contracting with Crawford Construction for $1,125,245 for replacement of 385 ft of 20 inch water line and 340 ft of 30 inch encasement at the I-540 and Euper Lane crossing.

creekmore pool bath house design plan

The Board will vote on purchasing controlled door access and security camera systems for the Creekmore pool bath house from Heartland Business Systems for $98,402.76.

blue roll off dumpster

The Board will vote on whether to issue new non-residential solid waste permits to Axis Dumpsters and BS Dumpster Rentals and to renew the permits for Prime Sanitation, W&W Roll Offs, and KL Dumpsters. The permits would be for 2 years and include a 5% franchise fee.

motorola logo

The Board will vote on whether to contact with Motorola for the relocation of 911 radio systems from the Sebastian County 911 facility to the consolidated 911 facility. The radio relocation will also include relocation of the VHF paging system for the FSPD and removal of equipment from the County site including rooftop transceivers and dishes. The total cost will be $272,042.23.

police station exterior at night

The Board will vote on purchasing a building automation and energy management system for the boiler and cooling tower systems at the Police Station from Northwest Controls for $142.900.

Previous
Previous

Agenda Highlights 4/14/26

Next
Next

Agenda Highlights 3/31/26